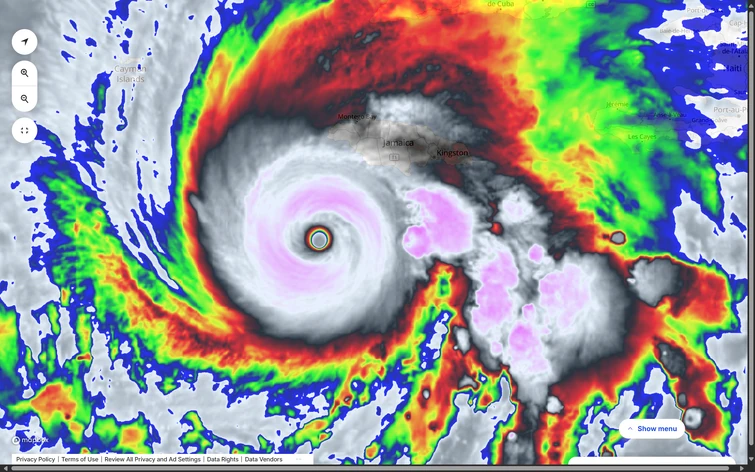
Unfortunately Melissa isn’t missing Jamaica. It’s on course for a direct hit on Black River, Jamaica. Really hoping as many people as possible evacuated. It could hit with 185mph or more if it continues strengthening. I saw from a meteorologist it’s down to 899mb.
It’s definitely off track. Let’s welcome that as a hope for good news! Maybe if this continues, it will miss Jamaica!
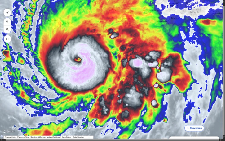
Looks like tomorrow will be a very bad day in Jamaica.
Grow. Landfall expected tomorrow morning.
Yes it did. it has 115 now.
You have to rotate the picture to really see it. its not the greatest face. Yes it seems to be a trend now. I guess its for humor but not sure.
Going to be tracking it all night and will see what it ends up doing.
100mph. looks like its entering a state where its trying to make an eye.
That would be terrible. It would be Dorian all over again. Unfortunately anything is possible. Hoping for the best for Jamaica especially.
Look at how well developed it already is for just cat 1. If that’s a real current satellite image, I think Melissa is definitely ready to shoot up the ranks. I think she can beat 160. Regardless of strength I am praying for Jamaica and Cuba.
Looks like it will try make a shot for Cat 5 of 165 or higher. Will she make it?
Dhelqhraneiyzjuiua Melissa had 185. Can Atlantic Melissa make that or break that?
—-
Atlantic Melissa is already up to 90mph, in which it wasn’t supposed to get to till late tonight. It’s already predicted to become major as soon as the overnight hours tonight.
I am praying for everyone in Jamaica and Cuba. It’s going to be a nasty storm when it arrives, even if it doesn’t make category 5,
LazarBeam list will be used for next years season main line. (You will need to select a new D name, as Daphne is retired.) The other lists will be used if backup or Aux names are needed.
15 Votes in Poll
5 Votes in Poll
Season is trending more active than anticipated. We are now only 4 names away From needing an auxiliary name list.
I would like to finish my map and turn it into a satellite like imagery map. Any ideas how to do it?