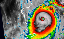
![]() Hurricane Forrest hours before landfall in Lazaronia on August 23, 2025 | |
| Meteorological history | |
|---|---|
| Formed | August 10, 2025 |
| Post-tropical | August 26, 2025 |
| Dissipated | August 29, 2025 |
| Category 5 tropical cyclone | |
| 1-minute sustained (SSHWS/NWS) | |
| Highest winds | 190 mph (305 km/h) |
| Lowest pressure | 883 mbar (hPa); 26.07 inHg |
| Overall effects | |
| Fatalities | 1,300+ |
| Damage | $110 billion (2025 USD) (Second-costliest tropical cyclone on record) |
| Areas affected | Isla Sonora, Eastern Lazaronia, Eastern Cape York |
Part of the 2025 Milsoopolic typhoon and Yorkish hurricane seasons | |
Hurricane Forrest, also known as Tropical Storm Forrest in the Milsoopolic basin, was an extremely powerful and devastating hurricane which impacted Lazaronia and Cape York. The seventy-fourth tropical depression and thirty-first named storm of the 2025 Milsoopolic typhoon season, Forrest currently stands as the strongest tropical cyclone on record in Youricane's history, beating the previous record set by Cyclone Ismene earlier that year.
Preliminary estimates put damages at around $110 billion (2025 YSD), and a death count of 1,300+, making Forrest the deadliest tropical cyclone on record in Youricane's history and the second-costliest on record, only behind Hurricane Kenny earlier that year. The true extent of damages and deaths are currently unknown and disputed, but the system's high storm surge and heavy rainfall may have been the primary causes.
Meteorological history[]
Map plotting the storm's track and intensity, according to the Saffir–Simpson scale
Tropical storm (39–54 mph, 63–87 km/h)
Category 1 (74–95 mph, 119–153 km/h)
Category 2 (96–110 mph, 154–177 km/h)
Category 3 (111–129 mph, 178–208 km/h)
Category 4 (130–156 mph, 209–251 km/h)
Category 5 (≥157 mph, ≥252 km/h)
On August 5, a tropical disturbance formed well off the northern coast of Isla Sonora and began moving northwestward. Shortly after, the system began showing signs of organization with a consolidating low-level circulation and deepening convection, leading to the system being upgraded to tropical depression status with the designation of 74M on August 10. The following day, the depression strengthened into a tropical storm and was assigned the name Forrest.
Forrest's barometric pressure began to fluctuate as the system moved quickly to the northwest, entering the Yorkish basin on August 13. In the following hours, Forrest absorbed two tropical depressions close by to the storm, allowing the system to become a high-end tropical storm. Over the next couple of days, Forrest slowly moved through the southern half of the basin, before an influx of moist wind and high sea-surface temperatures caused Forrest to undergo explosive intensification, jumping from a tropical storm to a Category 2 hurricane overnight on August 17. Forrest continued to rapidly intensify as it curved southwest due to interacting with Arnold just south of the storm, reaching Category 4 strength on August 20, making the system a major hurricane. By the time August 21 rolled around, Forrest had completely absorbed Arnold and reached Category 5 strength as it adjusted to an westward course, bearing down on Lazaronia.
Forrest after being upgraded to a Category 5 while still absorbing Arnold to its southeast on August 21. 69Y can be seen still interacting with Forrest to the west.
Forrest continued to strengthen after finishing an eyewall replacement cycle; its radius of maximum wind expanding in size. Afterwords, a tropical depression east of the Lazaronian coast and south of Forrest strengthened into Tropical Storm Charlotte; the resulting interaction between the two storms pushing Forrest north while the former got ripped to shreds. Forrest reached its operational peak intensity on August 24 with winds of 195 mph (305 km/h) and a pressure of 879 mbar ((hPa); 25.96 inHg), which was later lowered in re-analysis. The hurricane made landfall later that evening with winds of 185 mph and a pressure of 884 mbar, becoming the strongest landfalling hurricane in Youricane history.
After landfall and slowly moving inland, Forrest accelerated southwest as its eye and eyewall collapsed due to land interaction, weakening down to a Category 4 early on August 25. From there, Forrest entered a period of rapid weakening, and during the evening of August 26, the storm became a remnant low over southwestern Lazaronia. Forrest's remnants were monitored for potential redevelopment by JXCA and LNHA as they headed westward towards the Oblian Ocean, however the remnant low dissipated south-southeast of the Mediaranian Sea while overland on August 29.
Re-analysis preformed by the JXCA proposed that the system's peak strength was over-exaggerated, and its intensity was bumped down from 195 mph (320 km/h), 879 mbar to 190 mph (305 km/h), 883 mbar. Many other agencies and meteorological departments (such as DHC, LNHA, OMSA, and CTCA) followed suit shortly after.
Preparations[]
Barometric pressure diagram of Forrest, up to just 5 hours before landfall. (mb, hPa)
Throughout the lifespan of Forrest, many nations issued warnings and employed several methods in preparation of Forrest's potential impacts. Isla Sonora set up coastal warnings when Forrest formed due to rip currents, Lazaronia put an extensive amount of evacuation efforts prior to Forrest's landfall, and Cape York did the same, placing most of its coast under warnings and watches, as well as general evacuations.
According to GRCH (Global Recovery and Cyclonic Help), the general preparations for this system was noted as 'moderate.' Note that the rank of moderate indicates that more could have been done in preparation of and limiting the effects of the tropical cyclone.
Isla Sonora[]
As Forrest passed north of the nation, initially as a tropical disturbance and later as a tropical storm, Isla Sonoran officials issued rip current statements and high surf advisories, setting up orange buoys along the northern coast and also helped set up temporary storm surge barriers. Additionally, beaches were closed and ocean access was restricted due to the potential for rip currents. Tropical storm watches and flash flood watches were also issued for the northwest areas of the nation due to the potential for Forrest's outer bands to cause gale-force winds and flooding.
Lazaronia[]
Ahead of Forrest's impending landfall, the LNHA issued hurricane warnings for the coastal regions of eastern Lazaronia, along with additional tropical storm warnings for areas further along the coast and inland. Marine warnings were also issued for offshore areas due to potential rip currents and ocean swells that were anticipated to be hazardous. A state of emergency was issued by the Lazaronian government for eastern Lazaronia, and mandatory evacuations were carried out several days in advance ahead of Forrest. Additionally, supplies such as sandbags and wood planks ran low due to many homes needing the supplies in preparation for Forrest's landfall. Infrastructure, such as airports, schools, and public buildings, were closed in advance, and the National Guard were deployed to assist with the preparations and the aftermath of the storm. Along with this, all local, state, and federal resources were mobilized to help with activities before and after the storm.
Wind history of Forrest, according to OMSA.
Cape York[]
[Work in progress]
Elsewhere[]
[Work in progress]
Impact[]
Forrest resembling a "skull" shaped appearance on its approach to Lazaronia on August 23.
Isla Sonora[]
[Work in progress]
Lazaronia[]
Despite the Lazaronian government advising citizens in the anticipated impact areas to evacuate north ahead of time, poor communication and Forrest's sudden push north due to its interaction with Charlotte caused many people to become trapped in the path of the hurricane with no way to evacuate. Because of this, mass destruction and death came forth from Forrest across eastern Lazaronia. The total amount of deaths has been tallied to more than 1,300 people, and damages were estimated to be around $110 billion.
Cape York[]
[Work in progress]
Elsewhere[]
[Work in progress]
Aftermath[]
Isla Sonora[]
[Work in progress]
A small town in eastern Lazaronia completely inundated by the floodwaters
Lazaronia[]
Controversy over the Lazaronian government's trustworthiness and perceived inadequate preparations ahead of the storm sparked waves of protests calling for the resignation of the president. The protests eventually boiled over into riots, and the pressure led to the president resigning in mid-August. This resulted in a power vacuum, which was later filled by a new leader who overthrew the old government through a coup.
Cape York[]
[Work in progress]
Elsewhere[]
[Work in progress]
See also[]
- Tropical cyclones in 2025
- Tropical cyclone naming
- 2025 Milsoopolic typhoon season
- Hurricane Kenny (2025) - a destructive Category 5 hurricane that made landfall in the same area prior to Forrest
- Cyclone Griselda (2025) - a devastating Category 5 hurricane in the southern hemisphere
- Hurricane Daedalia (2025) - a small Category 1 that caused a similarly high fatality rate
